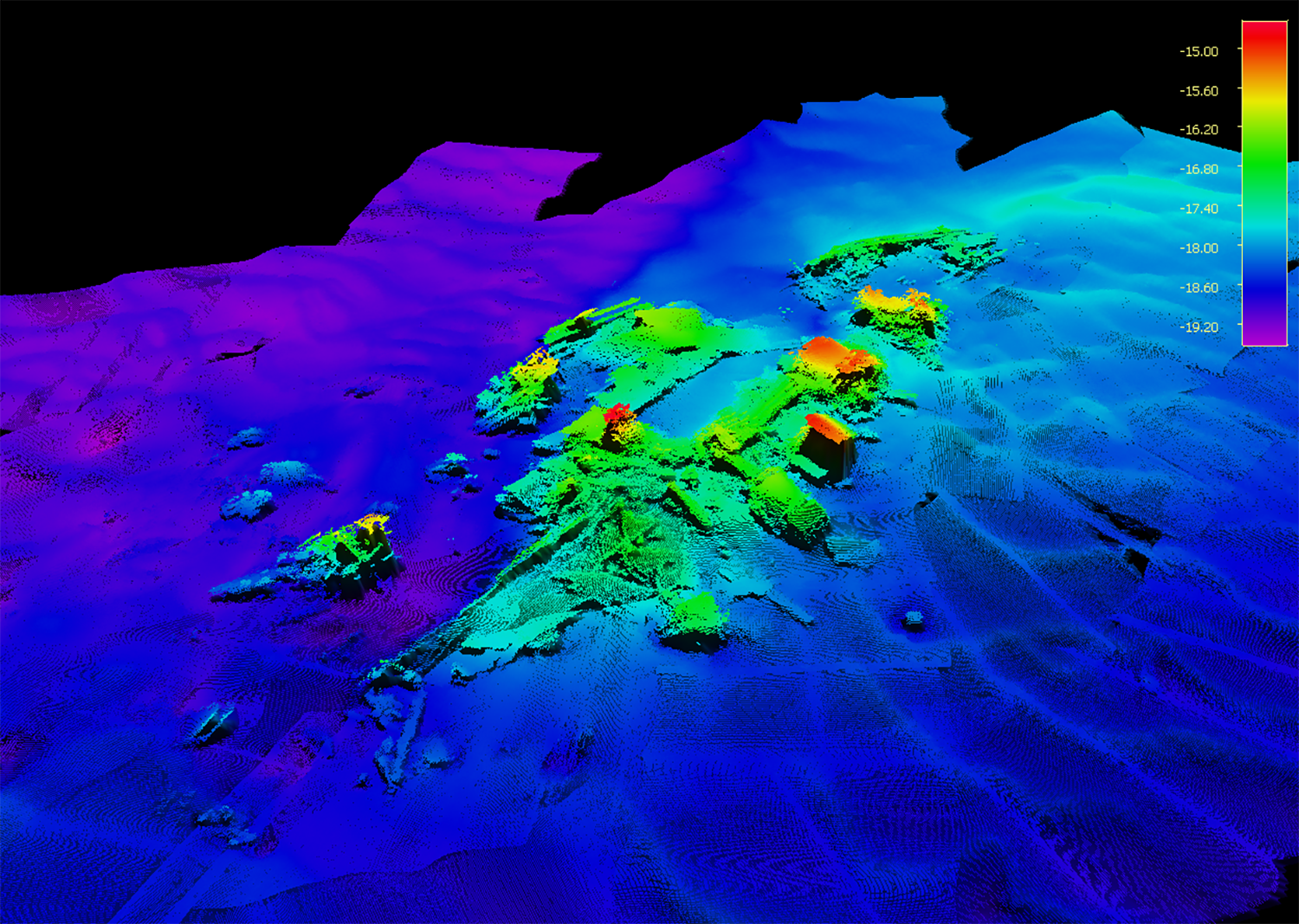
Multibeam echo sounder survey of the destroyer USS Meredith

Levé au sondeur multifaisceau du destroyer USS Meredith
11881

This American destroyer was used on D-Day as a convoy escort and for fire support. On 7 June 1944, it took part in the bombardment of Utah Beach. On the 8th, it struck a mine on the port side, opening a breach of 20 m, killing 35 people and injuring 50. The next day, an aerial bomb further damaged the ship, which eventually broke in two and sank. It was salvaged and scrapped in 1960 by the Van Loo company. Today, its remains are scattered over an area 65 m long.

Survey DRASSM

Survey DRASSM

Vist the site : Maritime archaeology of the Normandy landings